La construcción y posterior explotación del ferrocarril de Linares a Almería supuso una oportunidad para la creación de empresas auxiliares que prestaran sus servicios de reparación de materiales y fundición de metales. El caso más significativo por su importancia fue el de los Talleres Oliveros que, con el paso de los años, se configuró como la mayor industria de la capital almeriense con una gran vinculación al ferrocarril.
El fundador, Francisco Oliveros Giménez era un maquinista naval natural de Gualchos (Granada) que se formó en la pujante industria metalúrgica sevillana de la segunda mitad del siglo XIX. En 1880 creó el negocio y se trasladó a Almería a finales de esa década, donde se dedicaría en su primitivo taller de fundición de hierro y bronce a la reparación de buques y maquinaria en general.
La actividad comercial y marítima de aquel periodo en torno a la exportación de la preciada uva almeriense era muy intensa e importante, a lo que se unían las excelentes expectativas que presentaban los cotos mineros del entorno gracias a la construcción del ferrocarril de vía ancha y los de vía estrecha. En este contexto favorable y ante el crecimiento del negocio, constituyó en 1890 una nueva sociedad mercantil denominada Francisco Oliveros y Compañía junto a José Rodríguez Parra con un capital social de 2.500 pesetas aportadas por cada uno1.
El prestigio de Oliveros era creciente por la excelente calidad de sus trabajos, un hecho que se confirma en la primera Exposición Provincial de 1895 donde le fue concedida la primera medalla en la sección de la industria metalúrgica por su instalación de piezas de hierro fundido. Era evidente que el negocio prosperaba y, en 1896, dieron un paso más cuando solicitaron permiso al Ayuntamiento de Almería2 para iniciar la construcción de dos naves en un solar de 2.500 m2 situado en el barrio de las Almadrabillas, al final de la entonces denominada Rambla del Obispo, en su margen izquierda. Este lugar elegido podría considerarse como estratégico, ya que alrededor se encontraban los potenciales clientes, principalmente las compañías mineras y, sobre todo, por su cercanía al puerto y a la estación del ferrocarril. Una vez realizado el traslado, la nueva ubicación sería el embrión de lo que posteriormente llegaría a convertirse tras sucesivas ampliaciones a lo largo de varias décadas del siglo XX: una factoría con una superficie de 50.000 m2.

En sus nuevas instalaciones comenzaron a mantener relaciones comerciales con la Compañía de los Caminos de Hierro del Sur de España, que en esos momentos se encontraba inmersa en la unión definitiva de los tramos del ferrocarril de Linares a Almería. Precisamente, sus primeros trabajos se relacionaron con diversas piezas que precisaba la constructora de esta línea con destino a la finalización del viaducto del Salado, en la provincia de Jaén3, último escollo pendiente para concluir todo el trayecto hasta Linares. La estrecha colaboración con los talleres de Sur de España le granjeó a Francisco Oliveros Giménez un notable aprecio profesional entre el personal especializado de aquella compañía, algo que se confirmó poco después al ejercer como intermediario en la huelga de los mecánicos de la compañía ferroviaria que tuvo lugar en 1902 y que reivindicaban la jornada de 8 horas4. Sin embargo, por entonces, todavía el grueso de su actividad se centraba en la fundición de hierro y bronce, la reparación de buques y de maquinaria en general.
El 10 de febrero de 1911 falleció el fundador y su hijo, Francisco Oliveros Ruíz, tomó las riendas del negocio y, por acuerdo contractual, decidió disolver la sociedad que su padre constituyera con Rodríguez Parra años atrás para iniciar un periodo de transición como una sociedad unipersonal bajo el nombre de Francisco Oliveros hasta finales de 1923, fecha en la que se convertirá en sociedad anónima.
En 1912 la empresa tenía una plantilla de 40 obreros, con personal especializado en trabajos de fundición5 y, durante el periodo de la Gran Guerra (1914-1918), la firma inglesa Motores Crossley le concedió autorización para la fabricación de sus gasógenos destinados al mercado español, hecho que propició la construcción de una nueva nave para atender la producción.
El volumen de negocio que iba adquiriendo la empresa y las buenas perspectivas aconsejaron a Francisco Oliveros Ruíz la constitución de una nueva sociedad, que se formalizaría el 31 de diciembre de 1923 con el nombre de Francisco Oliveros, Sociedad Anónima. Con un capital inicial de 505.000 pesetas, el socio mayoritario era el propio Francisco Oliveros, que se adjudicó 501 acciones de 1.000 pesetas al aportar la fábrica de fundición de hierro y metales y los talleres de reparaciones y construcciones metálicas de su propiedad, con todos los edificios, solares, maquinarias existentes y cuanto integraba el activo y pasivo de dicho negocio industrial, conforme al balance presentado. Por su parte, José Oliveros Ruíz y Pedro Baldó Linares, cuñado de ambos hermanos al estar casado con Candelaria Oliveros Ruíz, aportaron la cantidad en metálico de 4.000 pesetas, por partes iguales, o sea, dos acciones cada uno. A todo esto, se añadieron las acciones de fundador, que no se presentaban en el capital social, pero que daban derecho a la participación de los futuros beneficios, por las que se reconocían a Francisco 200 de las 250 que se crearon, mientras que a su hermano José se le adjudicaron las 50 restantes para recompensar los servicios prestados en la constitución de esta sociedad6. Se estaban sentando las bases de una nueva y moderna empresa.
Durante la etapa proteccionista del Directorio Militar (1923-1930) se promulgó el Estatuto Ferroviario de 1924, una disposición que pretendía abordar la resolución de los graves problemas de los ferrocarriles españoles mediante la dotación de importantes recursos económicos destinados principalmente a la renovación de la mayor parte de las vías y del material rodante de las distintas compañías que operaban. La Caja Ferroviaria del Estado se encargó de administrar estos recursos y el Comité Regulador de la producción industrial, dependiente del Consejo de Economía Nacional, autorizaba la puesta en marcha de cualquier industria. En este escenario, Oliveros obtuvo el título de productor nacional emitido por el mencionado Consejo, un documento imprescindible para optar a la construcción de material ferroviario en los numerosos concursos públicos que salieron publicados en esta etapa.

Ante las buenas perspectivas que se presentaban, el 5 de enero de 19247 registró un escrito en el Ayuntamiento de Almería por el que solicitaban la colocación de unos carriles para conectar con la red de la Compañía del Sur de España, ya en manos de la Compañía de los Ferrocarriles Andaluces. Aprovechaba una vía de apartadero que, pasando bajo el embarcadero de Alquife Mines, llegaba hasta los depósitos de minerales que fueron de la Sociedad Anónima Minas de Beires y que en esa época pertenecían a la empresa Echevarrieta y Campbell, sucesora de la actividad explotadora de los cotos mineros de Beires. Al mismo tiempo, inició la construcción de un amplio cobertizo, donde se instalaron tres vías, y se habilitaron nuevos patios descubiertos en el solar que había adquirido años atrás. En 1927, con una superficie de 8.000 m2 se publicitaban en la prensa nacional como «fabricantes de vagones con vía propia en comunicación con los Ferrocarriles Andaluces»8. En ese mismo año obtiene los primeros pedidos de construcción de material móvil ferroviario al ganar varios concursos en competencia con las demás factorías nacionales, además incrementaron significativamente la actividad en la reparación del parque móvil de la Compañía del Sur de España, explotada por Andaluces, puesto que el taller que disponía esta empresa en Almería estaba preparado solamente para atender pequeñas intervenciones y, por tanto, era incapaz de hacer frente al mantenimiento regular que obligaba el intenso tráfico de minerales y los trenes de viajeros. Andaluces dejó operativo dos talleres para actuaciones en locomotoras de vapor y material remolcado: Guadix y Granada y, por ese motivo se produjo el importante crecimiento de Oliveros9.
Los contratos que obtuvo para la construcción de material ferroviario impulsaron una nueva ampliación del recinto fabril hasta los 20.000 m2 y la instalación de nuevas vías muertas10. La actividad se orientaba claramente hacia una industria auxiliar del sector del ferrocarril con una especialización en el material rodante tal y como se manifestó con la construcción de un número significativo de vagones y de coches entre 1927 y 1930, un hito significativo en esta empresa
El porcentaje en el conjunto nacional era irrisorio, pero para una ciudad como Almería sí que supuso situarla en el mapa de la industria española y de la ferroviaria en particular, así como un motivo de orgullo, tal y como lo manifestaba toda la prensa local de la época. El diario La Crónica Meridional titulaba:
UN TRIUNFO DE LA INDUSTRIA ALMERIENSE. Anteayer domingo tuvieron lugar las pruebas oficiales de tres coches de viajeros, de tercera clase, que para la Compañía de Ferrocarriles del Estado de Lérida a Balaguer han construido los grandes Talleres Francisco Oliveros, S.A. de esta plaza /…./ A las tres de la tarde salió de nuestra Estación un tren especial formado por los tres coches en prueba, que ocuparon un gran número de invitados. En representación de la Compañía receptora actuó su Ingeniero-jefe de Material y Tracción, nuestro antiguo y estimado amigo don Carlos Estivaus, quien ordenó el regreso del convoy al llegar a la estación de Gádor /…/ En el recorrido de vuelta se probaron repetidas veces, y siempre con rotundo éxito, los aparatos de alarma, tanto los de tipo corriente o reglamentario, como el instalado por primera vez en estos coches por orden de la Dirección general de Ferrocarriles y cuyo funcionamiento es eléctrico, permitiendo mediante el juego de unas bombillas eléctricas que se encienden en el costado del coche, para que el personal del tren sepa siempre, aún en el interior de los túneles o de noche, dónde se ha producido la alarma y se ha reclamado la parada. Su inventor, el sobrestante de Obras públicas Sr. Gato, que asistía a las pruebas, recibió calurosas felicitaciones de los presentes. Son los coches construidos por los Sres. Oliveros, una obra perfecta de ingeniería. Su peso es de 38 toneladas y su longitud de 20 metros. El chassis está construido sobre doble carro giratorio, patente norteamericana, que permite al vehículo tomar toda clase de curvas y a cualquier velocidad, a pesar de su longitud y peso, como experimentamos prácticamente en las pruebas; la caja del coche, construida con pino teca y tea americana, es de un magnífico aspecto, con sus amplios ventanales cerrados por grandes lunas de cristal; su profuso en intenso alumbrado eléctrico; su calefacción por radiadores en todo lo largo del amplio pasillo y en cada uno de los departamentos, dispuestos admirablemente para la mayor comodidad de los viajeros; su doble departamento, por coche, de tocador y W.C. y sus túneles de intercomunicación que permiten a los viajeros recorrer todo el convoy. Todo esto, tan admirablemente construido, y la suavidad de movimientos de aquella enorme masa, nos hacía comprender los grandes progresos que en este ramo de las comunicaciones ferroviarias está experimentando España y sentir la gran satisfacción de ver el nombre de Almería estampado en los costados de aquellos coches para recorrer con ellos las más apartadas regiones españolas, llevando a ellas la mejor demostración de la pujanza de nuestra industria y de la capacidad de nuestros hombres. /…/ A los señores Oliveros, nuestros estimados amigos, y a todos sus obreros, felicitamos en nombre de esta tierra que nos vio nacer y hacemos votos porque la prosperidad de los Talleres “Francisco Oliveros, S.A.” siga aumentando para honra y provecho de todos11.
|
Ud. |
Año |
Vehículo |
Compañía |
Características técnicas |
|
20 |
1927 |
Furgón de 2 ejes |
Cª. Caminos de Hierro del Sur de España |
Destinados para trenes de mercancías y sin freno por el vacío, la caja medía 6.470 mm de largo por 2.790 mm de ancho y 2.290 mm de alto en el centro de la caja. La separación entre los dos ejes era de 3.600 mm y la distancia entre topes de 7.790 mm. La tara era de 10.600 kg y la carga máxima de 6.000 kg. Disponían de dos perreras. |
|
15* |
1928 |
Vagón cisterna de 2 ejes |
MZA |
Empleados para el transporte de mercancías líquidas con una carga máxima de 19.000 kg y una tara de 11.546 kg, aunque hubo tres vehículos que cargaban 18.000 kg con la misma tara. La distancia entre topes era de 7.800 mm y entre los dos ejes de 3.200 mm. |
|
6 |
1929 |
Coche de 2 bogies |
Explotaciones de los Ferrocarriles del Estado, ramal Lérida a Balaguer. |
Coches de madera con cuatro ejes y una distancia entre topes de 20.000 mm. La caja medía 18.700 mm de largo y 3.164 mm de ancho con una distribución interior en 9 departamentos y 90 asientos con pasillo lateral. La tara era de 38.000 kg. Disponían de freno de husillo combinado con el de vacío, calefacción por vapor, alumbrado eléctrico, aparato de alarma y pasillo intercomunicador entre coches. |
|
50 |
1930 |
Vagón abierto de 2 bogies |
Compañía de los Ferrocarriles Andaluces |
Destinados para el transporte de minerales, eran vagones de cuatro ejes en carros giratorios tipo americano con una tara de 20.000 kg y una carga máxima de 40.000 kg. La caja era de acero al cobre inoxidable con tres puertas por cada lateral para la descarga y estaban dotados de freno de husillo de 16 zapatas. |
|
2 |
1930 |
Coche de 2 bogies |
Compañía de los Ferrocarriles del Oeste de España |
Coches de madera con cuatro ejes y una distancia entre topes de 19.200 mm. La caja medía 15.950 mm de largo y 2.910 mm de ancho con una distribución interior en 11 departamentos y 102 asientos con pasillo lateral. La tara era de 36.500 kg. Disponían de freno de husillo combinado con el de vacío, calefacción por vapor, alumbrado eléctrico, aparato de alarma y pasillo intercomunicador entre coches. |
Relación de material rodante construido entre 1927 y 1930. Cuadro 1
* Según los datos de la memoria de la Compañía MZA presentada por el Consejo de Administración en la Junta General de Accionistas, celebrada el 20 de mayo de 1928, se detalla el material recibido en 1927 y el pendiente de recibir para 1928, así como el pedido en firme para entregar en 1928, figurando en este último apartado 15 vagones cisternas encargados a Francisco Oliveros, S.A. «Estado General del Material Móvil. Vagones corrientes al servicio interior de la R.E.N.F.E. Vagones cisternas». 1948. Asignan su construcción al año 1927.
Furgón de 2 ejes construido para la Compañía de los Caminos de Hierro del Sur de España. Fondo: ASAFAL

Coche de madera con dos bogies construido para Explotaciones de los Ferrocarriles del Estado, ramal de Lérida a Balaguer. Fondo: ASAFAL

Vagón abierto de dos bogies y caja metálica. Construido para la Compañía de los Ferrocarriles Andaluces. Fondo: ASAFAL.
Durante el periodo de la Guerra Civil (1936-1939) la empresa fue incautada por el sindicato de metalúrgicos de la UGT y fueron apartados de la dirección sus legítimos propietarios. Intervenida por un Consejo Obrero, a partir de ese momento, la actividad de la factoría estaría condicionada por la necesidad de contribuir al esfuerzo de guerra. Sin embargo, los efectos del conflicto armado se cebaron en los hermanos Francisco y José Oliveros cuando fueron asesinados el 18 de mayo de 193812 en el campo de trabajo de Turón-Murtas (Granada), adonde habían sido trasladados después de su paso por la prisión de El Ingenio en Almería al haber sido condenados en un tribunal popular por «desafectos al régimen».
Finalizada la contienda, Antonio Oliveros Ruíz, médico de profesión y sin ninguna vinculación a la empresa que dirigían sus hermanos, recuperó la propiedad de esta y se propuso levantarla de nuevo a pesar de su desconocimiento del negocio y de las propuestas de compra por parte de la Sociedad Española de Construcción Naval, la potente industria conocida por «La Naval». Así pues, a mediados de 1939 consiguió reunir un grupo de 50 operarios competentes y dos ingenieros industriales, Vicente Navarro-Gay y Faustino Casanueva, para volver a poner en marcha la factoría y comenzar una nueva etapa que se caracterizaría por su dedicación casi exclusiva a la construcción y reparación de material ferroviario.
Tras la Guerra Civil, la situación de la red ferroviaria española y del material móvil era lamentable, por lo que el nuevo Régimen político decidió poner en marcha un plan para su reconstrucción. Con esta finalidad, en marzo de 1941, la recién constituida Renfe creó la Comisaría de Material Ferroviario que se encargaría de llevar a cabo esta tarea. Oliveros, que estaba integrado en la Agrupación de Constructores Españoles de Vagones, posteriormente denominada Constructores Españoles de Material Móvil, Sociedad Anónima, se benefició de esta coyuntura y comenzó a construir, reparar y transformar vehículos ferroviarios para la Renfe de manera habitual. Esto supuso el relanzamiento de su actividad y, para ello, tuvo que modernizar su utillaje y adaptarlo a las nuevas necesidades de producción. Al final de la dura década de los años cuarenta el balance había sido muy positivo: 4.878 vagones y 33 coches reparados; 260 vagones montados que habían sido importados de Norteamérica; 360 vagones construidos de diferentes tipos13.
Las buenas perspectivas de trabajo aconsejaron a Antonio Oliveros emprender una gran reforma de las instalaciones, hasta ahora distribuidas en varias parcelas contiguas, para unificarlas en un único recinto con nuevas edificaciones especializadas en la cadena de producción. En 1955 se realizó el proyecto constructivo y a finales de 1956 estaba totalmente operativa la nueva factoría. En este nuevo escenario, la empresa declaraba a finales de la década de los años cincuenta una producción anual de 1.000 vagones reparados y 70 construidos para la Renfe, solo en material ferroviario, con una plantilla que en 1959 alcanzaba la cifra de 426 obreros14.


Como consecuencia de los planes estatales de estabilización de los años sesenta, los contratos de Renfe se redujeron de manera progresiva y afectaron a las cargas de trabajo de una plantilla cada vez más mermada. Sin embargo, el cambio de rumbo se produciría a comienzos de los años setenta con la entrada en el accionariado de nuevos actores con nuevas ideas y por el fallecimiento de Antonio Oliveros en enero de 1974, la persona que salvó y engrandeció esta empresa tras la Guerra Civil. Se abría una nueva etapa llena de incertidumbres, especialmente por la presión urbanística de la ciudad, que convirtió la gran parcela que ocupaba la industria de Oliveros en un apetecible espacio para construir viviendas mediante una recalificación de los terrenos. La operación inmobiliaria, no exenta de polémica, se puso en marcha y la empresa adquirió unos terrenos en la Carretera de Sierra Alhamilla, paralelos y al Sur de las vías de la estación de Almería, con el fin de trasladar la producción a este lugar que tenía unas dimensiones más reducidas, alrededor de 14.000 m2. En 1978 solicitaron formalmente el traslado de todas sus instalaciones a su nuevo emplazamiento15 y para facilitar la entrada y salida del material ferroviario se construyó una vía de apartadero que atravesaba la citada carretera.
Durante esta etapa cambió la razón social, que pasó a denominarse Talleres Oliveros, Sociedad Anónima, y la actividad se mantuvo gracias a las reparaciones de los vagones dedicados al transporte de mineral y mercancías en general, la eliminación del amianto de los coches de viajeros, así como a algunas transformaciones de vehículos, destacando la conversión de siete coches de 2ª clase de la serie 10.000 en coches guardería16, además de otros trabajos propios de la industria metalúrgica.
En 1994 salió el último vagón de estas instalaciones: una cisterna de bogies particular para pulverulentos que puso fin a una industria centenaria única en la provincia de Almería. Los terrenos también fueron urbanizados para viviendas y, al igual que ocurrió con el recinto histórico, no ha quedado ningún vestigio arquitectónico de Oliveros, salvo el nombre por el por el que se conoce al barrio donde estuvo ubicada la fábrica y algunos elementos salidos de los hornos de fundición de la vieja factoría: la estatua de la Caridad, erigida en recuerdo a las víctimas de las inundaciones acaecidas en Almería en 1891 y situada al final de la Rambla del Obispo, frente a las antiguas instalaciones; el «Discóbolo», en el parque de Nicolás Salmerón de la capital, una de las campanas de la parroquia de Sebastián y de la Catedral de Almería, así como algunas columnatas de edificios históricos de Almería y, sobre todo, el recuerdo del «pito» de Oliveros, una sirena Ercolli Marelli & C. S.A. que avisaba de la entrada y salida de los obreros que durante años fue una referencia horaria de muchos almerienses.
LAS INSTALACIONES
Recinto de la Rambla del Obispo
De 192417 data la conexión de la factoría con la red de ferrocarriles de Sur de España, explotada por la Compañía de los Ferrocarriles Andaluces, mediante la prolongación hasta la factoría de la vía existente que era utilizada por la compañía minera Echevarrieta y Campbell para el depósito de los minerales procedentes del coto minero de Beires (Almería). Esta, a su vez, enlazaba con la vía marítima para llegar hasta la estación. Dentro del recinto de Oliveros, de unos 8.000 m2, había una placa giratoria y dos vías más para apartado del material.
La primera gran ampliación de las instalaciones se produjo en 1929, cuando alcanzaron un perímetro de 20.000 m2 y, según el proyecto presentado al Ayuntamiento de Almería18, se pretendían colocar un total de 11 vías nuevas para situar el material móvil a reparar en el cobertizo de montaje y el terminado en el exterior.
Hasta mediados de la década de los cincuenta del siglo XX no se acometió lo que sería la gran transformación de la factoría para adecuarla a los volúmenes de trabajo que estaban experimentando y con la que llegaría hasta el cierre de estas instalaciones a finales de la década de los setenta. En un solo recinto de 50.000 m2, disponía en su interior varias naves de una sola planta, mientras que la alineación de la fachada Sur y Oeste era de dos plantas, estando dedicada la baja a almacenes, garaje, economato, portería y guardas; la parte alta a oficinas, en su mayor parte, comedor obrero, servicios médicos y vivienda para el personal directivo de talleres. La fábrica constaba de taller de fundición de acero al horno eléctrico, hierro y metales no férricos; modelistería; ajuste mecánico; tornos; carpintería mecánica; calderería; carpintería metálica; forja; soldadura eléctrica y autógena y pintura19.

La vía que enlazaba las instalaciones de Oliveros con la estación de Almería atravesaba el Camino de Ronda y no sufrió ninguna modificación desde que se emplazara a comienzos del siglo XX por la Sociedad Anónima de Minas de Beires20. Una vez se accedía al interior de la factoría, las vías se distribuían en varios espacios con conexión directa tanto a la nave de montaje de coches de viajeros como a la de vagones, mientras que para el estacionamiento de los vehículos y nave de tornos existían dos placas giratorias.

La nave de montaje de coches tenía una superficie de 2.600 m2 con diez vías interiores de unos 50 metros de longitud cada una, carro transbordador para 60 toneladas y 21 metros de longitud con cabrestante independiente para el movimiento de los vehículos. La nave de montaje de vagones tenía una superficie de 935 m2 con tres vías interiores de unos 50 metros de longitud y empleaban una placa giratoria para distribuir el material rodante en cada una de ellas. En cuanto a los espacios descubiertos para el estacionamiento de los vehículos, el primero se encontraba junto a la entrada de la vía de apartadero y contaba con un carro transbordador central y 15 vías, mientras que el segundo de ellos se situaba hacia el interior del recinto y también estaba dotado de un carro transbordador situado en un extremo de las 17 vías que servía21.
La entrada y salida del material móvil ferroviario se efectuaba con un tractor de carretera que recogía los vehículos en el punto de entrega previo al paso a nivel con el Camino de Ronda, que era protegido por dos empleados que enarbolaban un banderín rojo cada uno. Con carácter excepcional, varias locomotoras de la serie 1300 accedieron a los talleres a través de esta vía, pero no para llevar o traer material remolcado, sino para someterse a algún tipo de reparación o ajuste.

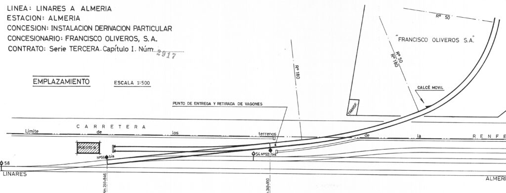
Recinto de la Carretera de Sierra Alhamilla
En 1974, Oliveros realiza la petición a Renfe de una vía que facilitara el acceso del material móvil ferroviario al nuevo recinto que tenían previsto habilitar para trasladar su actividad industrial. En el primer proyecto se estableció el arranque de la derivación en el lado de la estación, a 636 metros del eje del edificio de viajeros. Sin embargo, la profunda remodelación de las vías destinadas al tráfico de minerales de la Compañía Andaluza de Minas que se iban a llevar a cabo hicieron cambiar el primitivo proyecto y, en 1978, se adaptó a la nueva situación variando el acceso por el lado Linares, en el punto kilométrico 249,846, que sería el que finalmente se ejecutaría y entraría en servicio el 5 de enero de 198122.

Solamente accedía al recinto de Oliveros el material remolcado que era situado por una locomotora diésel en el punto de entrega o recogida, junto a la puerta del límite de los terrenos de Renfe, y atravesaba el paso a nivel de la Carretera de Sierra Alhamilla, protegido por dos operarios, con la ayuda de un vehículo de carretera de Oliveros.

La vía entraba en las instalaciones de Oliveros mediante un reducido radio de curva y se prolongaba pegada al muro lateral de cierre hasta un carro transbordador que se había colocado para la distribución del material móvil entre las diez vías de reparación exteriores y las que entraban en las dos naves cubiertas.
Autor del texto: ANTONIO AGUILERA CANTÓN
ANOTACIONES
1 Escritura de constitución de Francisco Oliveros y Compañía. Almería. 30 de diciembre de 1890. AHPA.
2 Acta de sesiones del Ayuntamiento de Almería. Almería. 3 de febrero de 1896. Archivo Municipal de Almería.
3 «El Ferro-carril». Almería, 25 de febrero de 1899.
4 «La Crónica Meridional». Almería, 1 de mayo de 1902.
5 «Estadística Minera de España». 1912
6 Escritura de constitución de Francisco Oliveros, Sociedad Anónima. 31 de diciembre de 1923. Registro Mercantil de Almería.
7 Legajo 1.483 Doc 100 (1). Archivo Municipal de Almería.
8 «La Esfera». Madrid. 19 de marzo de 1927.
9 Domingo Cuéllar Villar: Los transportes en el Sureste Andaluz (1850-1950), pp. 283
10 Legajo 1.483 Doc 100 (1). Archivo Municipal de Almería.
11 «La Crónica Meridional». Almería. 8 de octubre de 1929.
12 Eusebio Rodríguez Padilla. La República cuestionada. Almerienses del campo de trabajo de Turón Murtas, pp.72
13 Memoria del expediente núm. NI/2.590.1950. Delegación de Industria de la Provincia de Almería.
14 Archivo ASAFAL
15 Expediente núm. NI/02.590/03.188 de la Delegación Provincial del Ministerio de Industria de Almería
16 «La Voz de Almería». Almería. 28 de junio de 1987.
17 «Licencia de obra a Francisco Oliveros Ruíz para colocar vía apartadero». Almería, 5 de enero de 1924. Archivo Municipal de Almería. 595-12.
18 «Expediente de parcelación de Francisco Oliveros Ruíz». Almería, 6 de marzo de 1929. Archivo Municipal de Almería. 540-2.
19 «Memoria de las instalaciones de Francisco Oliveros, Sociedad Anónima». Almería, Mayo de 1964. Archivo Municipal de Almería.
20 En 1950 cambia la titularidad de la vía de apartadero, hasta entonces autorizada a los Sres. Echevarrieta y Campbell. «Contrato celebrado con Francisco Oliveros, S.A. sobre explotación de una vía de apartadero en la estación de Almería». Madrid, 15 de julio de 1951. Renfe. Archivo ASAFAL.
21 «Memoria de las instalaciones de Francisco Oliveros, Sociedad Anónima». Almería, Mayo de 1964. Archivo Municipal de Almería.
22 «Contrato celebrado con Francisco Oliveros, S.A. sobre instalación y utilización de una derivación particular en la estación de Almería». Sevilla, 15 de diciembre de 1981. Renfe. Archivo ASAFAL.




